Patent list & network contents scheme
Patentsets assigned/responded to/mapped by items
Patents related to field list contents
For each field such as technology/product-part/materials-substance/patent classification (CPC/IPC)/concept (coming soon)/keyword, there are patentsets assigned/responding/mapped to that field.
It is common for the patentsets related to field to grow in size as new patents are added over time.
Non-exclusively, these patentsets are fairly robust, as the baseline rarely changes, except for the addition of new patents. However, in some cases, patentsets are reorganized. This is most commonly the case for patentsets mapped to CPCs in the US. In the US, we periodically reconfigure the CPCs (often by subdivision), and every two months we update the specific "CPC vs. patents corresponding to this CPC" data, in the form of current CPCs. These updates are not sweeping, but rather small and piecemeal.
Patents in Possession List Contents
The set of patents assigned/responding/mapped to a company is based on the current right holder of the patent.
Patents are a type of asset and therefore subject to transactions/transfers. While there is a lot of variation across nations, around 0.1% to 0.5% of all patents change ownership every year. Therefore, PatentPia generates data on the current right holder of a patent, reflecting transactions/transfers to the best of its ability. Accordingly, PatentPia categorizes the right holders of a patent as i) current assignee, ii) previous right holder, and iii) original assignee or applicant. In GoldenCompass, most analysis is based on the current right holder. Patent listings are provided with both current right holder and applicant information.
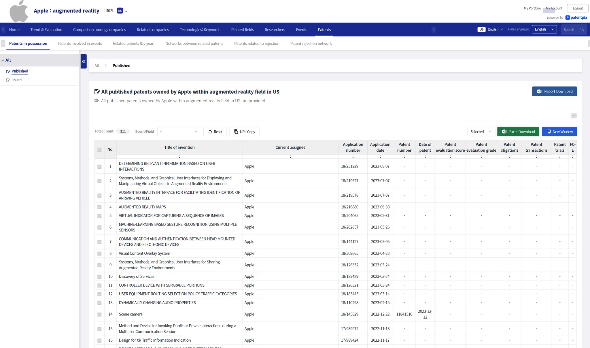
The example below shows the US Patent List contents for the company & keyword item "Apple's augmented reality". The patent list contents below show that "Apple" has a No. of purchased patents in the "augmented reality" keyword field. As shown, PatentPia generates patents in possession list contents based on the current right holder.
Invented patents list contents
The patent sets that are assigned/responded to/mapped by researchers/inventors are based on "specific inventor of a specific applicant".
Due to the high number of first-name inventors in the nation, if the inventor is based on the expression of the inventor, there will be excess patent sets because the first name is the same when it is actually a different person. To solve the problem of excessive patent sets due to the same name, we compose inventor-specific patent sets at the "specific inventor of a specific applicant" level, using the applicant to which the inventor is presumed to belong. Of course, this suffers from the problem that it cannot reflect cases where a particular inventor has moved from company A to company B (unrecognized by the outside world). However, it is relatively reasonable (and has far fewer side effects) to construct inventor-specific patentsets at the "specific inventor from a specific applicant" level, so that's what PatentPia does.
Representative patent list contents
The patentsets that are assigned/responded to/mapped by representative (IP law firm, patent handling law firm) are based on the representative information that appears in the Patent Gazette.
An agent appearing in the patent publication may appear in the open publication, or it may appear in the registered publication. If both are present, and if not, the issued patent publication takes precedence. As a result, agents that do not appear in the publication (and are not externally recognizable) are excluded from the analysis, even if they have actually represented a particular patent.
Accordingly, any changes in representation after registration will not be reflected. Non-exclusive representation is primarily concerned with the prosecution of a patent up to and including its issuance. As a result, changes in the agent for patents after registration are not reflected in the analysis.
Special patents in the itemized patent set
List contents of patents involved in events
A representative type of special patents in the itemized patent set is patents related to transacted patents. Events include: i) patent transactions/purchases/M&A, ii) transactions such as patent litigation/patent trials, iv) standard patents, v) FDA approvals in which the patents were used, and vi) government-funded R&Ds that resulted in patents.
The example below shows the list contents of purchased US patents related to transacted events for the company & keyword item "Apple's augmented reality". The list contents of patents involved in events shows only the patents purchased by "Apple" out of the total patents in the keyword field of "augmented reality" by "Apple", i.e., the patents related to events.
Related patents network contents
A given patent has other patents that are patently related to it.
Related patents by citation relationship
The most common type of related patents are those that arise because of citation relationships. Citation relationship patents can be categorized in several ways.
•
Based on whether a particular patent cites vs. is cited by a particular patent
◦
Preceding referenced patents
◦
Subsequent citation patents
•
By whether the citation relationship occurs within the same nation
◦
Domestic preceding vs. domestic subsequent cited patents
◦
Overseas/nation-specific preceding patents vs. overseas/nation-specific subsequent citations
•
Whether the citation relationship is attributable to an examiner
◦
All preceding reference patents vs. all subsequent cited patents
◦
Preceding patents referenced by examiner vs. subsequent examiner cited patents
◦
Preceding patents OA referenced by examiner vs. trailing examiner OA cited patents
•
Distinction based on whether or not the right holders of the patents in the citation relationship are the same
◦
All preceding referenced/subsequent cited patents
◦
All preceding self-references/subsequent self-cited patents
Similar patents (coming soon)
Similar patents to a particular patent are patents that are presumed to have a high degree of technology similarity to that particular patent. The scope of similar patents may vary depending on how the technical similarity is measured and the establishment of criteria to be met. Technical similarity is measured by i) patent content relationships, ii) citation relationships, and iii) other relationships. Patent content relationships include i) patent classification such as CPC/IPC, and ii) patent document extraction content (keywords or key phrases, purpose/effect/use/concept/method/solution expressions, etc.).
Other related patents (coming soon)
Other related patents, such as i) patents that have been litigated together, ii) patents that have been transacted/licensed together, iii) patents that are co-referenced or cited together by a particular patent, etc.
Network of related patents.
GoldenCompass provides the contents of N:M networks between related patents, either preceding referenced patents or subsequent cited patents, for each individual patent that makes up the composition of an itemized assignment/correspondence/mapped patent set.
Each individual patent that makes up the composition of an item-specific assigned/corresponding/mapped patentset can have M related patents. Similarly, each related patent can have related patent relationships with N patents in the itemized assigned/corresponding/mapped patentset. Thus, from the view of the itemized assigned/corresponding/mapped patentset (which is composed of multiple patents), the related patents have a network relationship.
Related patents list contents
GoldenCompass provides a set of related preceding reference patents or subsequent citation patents for an entire itemized, assigned/correspondence/mapped patentset.
Whereas the related patent network provides related patents for each of the patents that make up the patentset, the related patent list is an aggregated related patentset that treats the patentset as a whole. As such, the related patent network contents will list the individual patents that make up the item's patentset, along with their related patents; however, the related patent list contents will list only the related patents.
In the example above, we can see that based on the US patent set related to own(input/selected) item ("Apple's augmented reality"), the patent with the most (examiner)citations to patents in this patent set is "Samsung Display's 15/699242". Of course, if you select in descending order from more recent years, such as 2019-2021, you can see which patents in the US patent set related to own (input/selected) item ("Apple's augmented reality") have the most (examiner)citations in recent years, and the right holders of those patents, etc.
Utilizing patent list contents
The patent list contents provided by PatentPia GoldenCompass offers various additional services such as i) Excel download for all or selected patents, ii) real-time analysis using PatentPia Analytics (coming soon), iii) report generation (coming soon), etc.
Downloading Excel
The best feature of the Excel download for the patent list provided by GoldenCompass is that, in addition to the visible content, i) various measurement time series/index data and ii) various patent attribute data are provided for each patent (coming very soon). These measurement time series data and patent attribute data can be utilized for i) filtering, ii) analysis through PivotTable in Excel, and generating your own models (e.g., prediction-evaluation-classification-association models through AI/machine learning, etc.).
Real-time analysis with PatentPia Analytics (coming soon)
Given a patent set, PatentPia Analytics provides up to 5,000 analytics results with just a click of the Analytics menu. Therefore, you can utilize PatentPia Analytics with all or just a selected portion of the patents in your patent list.
Of course, you can also utilize PatentPia Analytics immediately by utilizing My portfolio.
•
Step 1: Download your patent list to Excel
•
Step 2 : Upload the downloaded patent list from My portfolio (For detailed instructions, please refer to the "Real-time analysis of patent set" page in My portfolio.)
•
Step 3 : Select the patent folder where the uploaded patent list is uploaded from My portfolio →Click the analysis menu (Patent→Patent Analysis→Portfolio→Applied and Issued Patents→Select a nation)
•
Step 4 : Click Analysis menu in PatentPia Analytics
Generate report (coming soon)
GoldenCompass will generate a brief report per patent in MS Word file with all or just selected part of the patents in the patent list.
Related contents
•
.



