Utilization map of key researchers in field of interest
Analysis contents utilization map for 1 researcher (researchers themselves vs. researchers in specific fields)
There are two types of analysis: i) analysis of researchers per se, and ii) analysis based on specific fields. Specific fields include: i) technical keywords, and ii) technical categories or technical classifications such as CPC/IPC.
Meier Peter of Apple, who invented many patents in augmented reality technology keywords field, as an example, provides analysis contents of researchers in specific fields using PatentPia GoldenCompass. If you click on the chain (link) marks that are attached to each item in the utilization map above, the example page will open in a new window.
Comparison with researchers in the field of interest Analysis contents utilization map
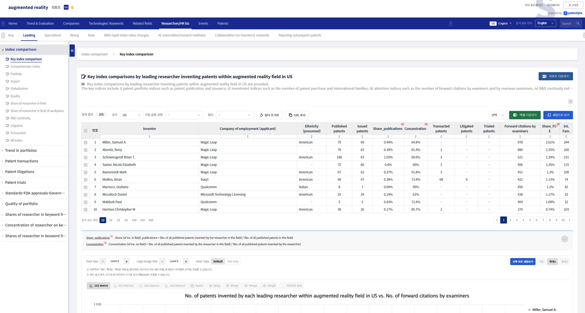
GoldenCompass provides various comparison with researchers analysis contents on researchers who invented patents in specific fields (keywords, technology/product-part/substance/patent classification (CPC), etc.).
Augmented reality technology keyword field as an example, providing analysis contents of comparison with researchers in the field utilizing PatentPia GoldenCompass. If you click on the chain(link) marks that are combined with each item in the utilization map above, the example page will open in a new window.
Classification of Researchers
Researchers analysis contents for specific fields are provided by company group classification. Researcher group classifications include i) key researchers , ii) leading researchers , iii) rising researchers , iv) specialized researchers , v) new researchers , vi) researchers at universities/research institutes, etc.
•
Key researchers: Researchers who have invented many patents in a particular field
•
Leading researchers : Researchers whose invented patents related to field have received many citations
•
Rising researchers : Researchers whose invented patents related to field are increasing rapidly in recent years
•
Specialized researchers: Researchers whose invented patents are concentrated in a specific field
•
New researchers : Researchers who have only recently patented inventions in a particular field . Researchers entering the market for new technologies
•
Researchers at universities/research institutes : Researchers at universities/research institutes who invented patents related to field
Kinds of analysis
GoldenCompass provides comparison analysis contents between researchers with patents in possession within a field.
The kinds of comparative analysis are i) index comparison, ii) trend comparison, iii) forward citations comparison, iv) patent families comparison, v) quality comparison, vi) comparison by kind of events, vii) share comparison, and viii) concentration comparison.
Rapidly changing researchers by index
GoldenCompass provides analysis contents of comparison with researchers with rapidly changing patents in possession in a field by index.
The indices are i) No. of published patents, ii) No. of issued patents, iii) Number of citations, iv) No. of patent families, v) Quality, vi) Number of events, vii) Share, and viii) Concentration.
Collaboration/co-invention networks.
GoldenCompass provides analysis contents of co-inventor networks among researchers with patents in possession in a field, who have jointly invented patents. The network analysis is also accompanied by network visualization contents.
The example below is a network of collaborating researchers (co-inventors).

