In-depth analysis of competitors/interested companies contents scheme
With GoldenCompass, you can systematically perform an in-depth analysis of competitors or companies of interest.
The in-depth analysis of competitors or interested companies should be performed i) asset-centric, ii) behavior-centric, and iii) relationship-centric. In addition, dissection of the company by important fields is also required, such as the company's i) focus, ii) new entries, iii) fields of investment, etc. Moreover, it should monitor the behavior or events of competing companies or companies of interest on a quarterly basis, a specific time period basis or in real time.
•
*Here is an example of an in-depth analysis of competitors/company dissection using PatentPia GoldenCompass, with Apple as the company of interest and augmented reality as the keyword of interest for Apple. If you click on the chains(links) that are attached to each item in the utilization map above, the example page will open in a new window.
Asset-driven company analysis
Among the various patent assets (assets) of a company, i) core IP assets, ii) key researchers assets, and iii) collaboration network assets are particularly important.
Core patent (IP) assets
In the era of global technology wars, IP is a core asset that determines a company's life and death, profitability, position in the market, and competition-cooperation dynamics. Accordingly, sophisticated companies invest heavily in building and managing their IP portfolios.
As a result, the core IP that each company recognizes internally is not easy to identify from the outside. However, core IP leaves many traces that can be measured externally, whether or not the holder wants to admit it. The more overlapping the various traces, the more likely it is that the IP is the core IP of the company. Therefore, the traces provide an objective view of the core IP assets.
Using Apple as an example of an interested company, we provide the contents of core IP assets utilizing PatentPia GoldenCompass. If you click on the chain (link) marks that are attached to each item in the above utilization map, the example page will open in a new window.
IP Assets in an Objective View
1.
Investments/Expenditures patents
Money/expenditure investments are the most honest value measurement track.
1) Purchased patents
Non-exclusively, there is a significant cost associated with purchased patents. Furthermore, the IP acquired is likely to be leveraged in the company's current or future product/service strategy; and, due to the inactivity of the patent transactions market, patents are often not available for sale, even when they are desired to be purchased. Because of this, impromptu IP purchases rarely occur; therefore, patent purchases are most often made under a strategic IP acquisition roadmap, and only when they happen to be available on the market. Furthermore, direct purchases result in high transaction prices, so indirect purchases are often made through NPEs or third-party entities.
In cases where the right holder changes, there are i) patent transfers through M&A, and ii) strategic IP reallocation/rebalancing between groups of companies.
Patent transfer through M&A is particularly important. M&A is essentially the act of taking stock (management control) of a defendant company, which means that IP often remains with the defendant company when an M&A occurs; however, the transferred IP from the defendant company to the acquirer is often an asset that the acquirer (usually a market leader) has a high strategic need for, especially if the IP is heavily self-forward cited or heavily cited by backward IP held by companies competing with the acquirer.
If there is a strategic realignment/re-alignment among a group of companies, it's good to view the realigned/re-aligned IP from an aggregate view, rather than in terms of individual IPs.
2) Patents with unusual No. of international patent families
It is costly to build a network of patent families in each nation overseas. Most companies have a limited amount of money/budget to spend on building their IP portfolios; therefore, the internal IP staff of the company performs an optimal cost allocation within the limits of their spending/budget, both domestically and across nations. Despite the result of optimal cost allocation, patents applied for/registered in much more countries than average are likely to be important patents that have passed through the company's internal cost/budget wall. Of course, it is common to enter countries where patents are marketed before products/services, so an analysis of the No. of patent families portfolio by country can also reveal future strategies for products/services/technologies by country.
From the list of patents available in GoldenCompass, if you sort in descending order by No. of international patent families, you can extract patents with high No. of international patent families (coming very soon)
On the other hand, when searching for patents in PatentPia Search, if you enter a value for "No. of international patent families" as a search condition, you will find patents with a large number of international patent families.
2.
IPs with many or rapidly growing self-forward citations or self-references
Self-forward citations and self-references occur when a patent from the same right holder cites other patents from the same right holder. A patent with a lot of self-forward citations, which is heavily cited by the company's junior patents, is likely to have a lot of influence on the company's junior patents, i.e., it may be a patent with a lot of R&D continuity, which is likely to be heavily utilized in the company's junior patents/technologies. In particular, patents with a lot of self-forward citations by examiners or self-references by examiners' OAs in office actions are likely to be particularly important patents.
3.
standard-essential patents / patents used in FDA approvals
Standard-essential patents are likely to have high commercial value. However, only a small fraction of declared standard patents become actual standard-essential patents, so not all declared standard patents are core IP.
The patents related to FDA approvals are in the minority and are non-exclusive and highly commercial.
4.
patent litigation
Patents used in litigation or trials (with a party/opponent) are particularly important. Patent litigations are life-and-death events that involve huge total costs (legal fees, losses, settlements, damages, etc.) and are not likely to occur unless the market size of the product/service, the scale of the company's implementation, etc. are high. If patent litigations occur in such an environment, the patents used in the litigation become core patents among the core patents.
Tribunals with opposing parties, such as invalidation trials, occur in cases such as receipt of warning letters, pre-elimination or surge of patent risk, or counter attack after initiation of litigation. Although smaller than patent litigations, patent trials are also events that have a significant total cost and have a significant impact on market position. Therefore, patents used in trials also become core patents.
5.
High impact/reputation patents
Patents with many or rapidly growing forward citations by examiners in office actions (OA) are patents that have a high impact on the subsequent patents that cite them and the right holders of the subsequent patents. Therefore, these patents are likely to be impact/reputation core patents.
From the list of patents available in GoldenCompass, if you sort in descending order for the No. of forward citations by examiners (FC_E), you can extract patents with a high No. of international patent families (coming very soon).
On the other hand, when searching for patents in PatentPia Search, if you enter a value for "No. of forward citations by examiners" as a search condition, you will find patents with a high No. of forward citations by examiners.
6.
other
Other key patents include: i) patents with an unusually large number of domestic patent families or recent patents, ii) patents with a wide scope of rights that were registered as requested in the application, and iii) patents that requested prioritized examination or took too much time to obtain patent rights and were issued patents with a large number of procedures, which are likely to be patents with high internal importance to the company, minimizing the reduction of the scope of rights, and fiercely argued with the JPO examiners. All time and procedures incur representation costs), etc.
Relative view
The company that is the subject of the corporate dissection (the target company) may have a unique relationship with the company that is conducting the corporate dissection against the target company (the company) (e.g., a competitor company). In this case, the target company's preceding patents that are heavily cited by the first party's IP may be, regardless of/independently of the objective criteria, the target company's key patents; and, the target company's preceding patents that are heavily cited by the first party's core IP (IP with characteristics 1-7 above) may be the target company's key patents that are particularly important in the first party's view; and, the keyness is further enhanced if the citations are by examiners or occur in the course of examiners' OA (office actions).
Human capital view
Chances are you know the key researchers at the target companies that are the subject of your corporate dissection. Market leaders or powerhouse companies have key research people (who are geniuses or have very high performance indices) in their companies. It's very likely that the IP of those key researchers has been fed into the products/services/technologies of those target companies, so their IP can also be your core IP.
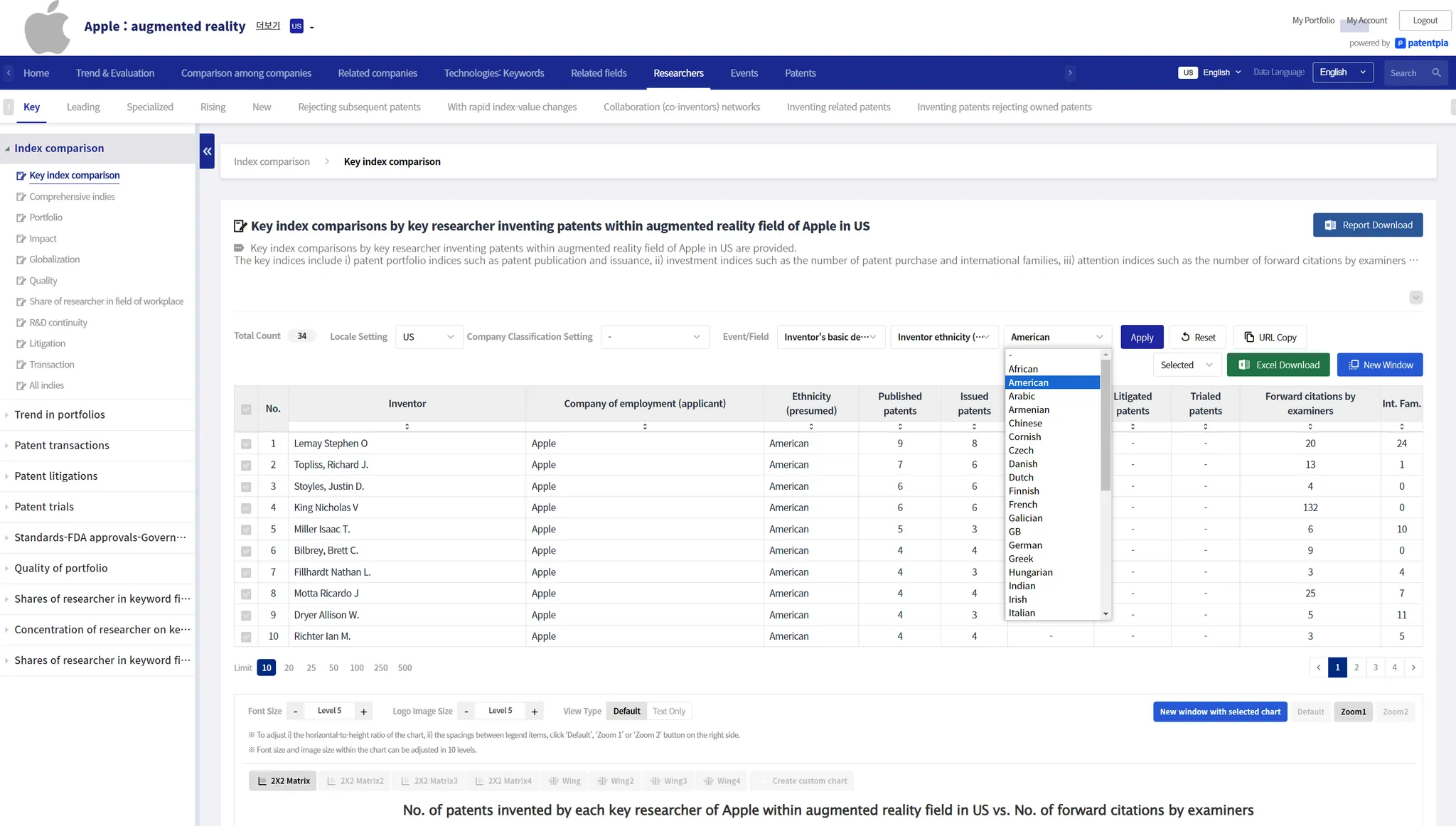
Key researcher human resource
GoldenCompass provides a different view of a company's key researcher human resources.
Using Apple as an interested company and augmented reality of Apple as an example of keywords of interest for Apple, we provide in-depth analysis of competitors/companies using PatentPia GoldenCompass. If you click on the chains(links) that are attached to each item in the utilization map above, the example page will open in a new window.
The key researcher human resource contents that GoldenCompass provides by company include i) key researchers with invented patents, ii) leading researchers with many forward citations, iii) rapidly growing companies, and iv) rising and falling researchers by index. Meanwhile, by field of the company, v) specialized researchers in that field.
On the other hand, there may be a need (e.g., for HR purposes) to identify research human assets who belong to a specific ethnicity. In this case, you would use a filter for researchers.
Collaborative network assets
Collaborative networks, identified by co-applicants, allow you to identify external sources of technology for the company under dissection. In particular, analysis of co-applicants by field allows you to analyze technology sources/collaborative network assets by field; universities/research institutes and specialized companies are important collaborative network assets.
Behavioral company dissection
When dissecting companies to be dissected, such as competing companies, it is necessary to center on the patenting behavior of the target company.
Strategic behavior
GoldenCompass can dissect the strategic behavior of a target company or a target company in a particular field with an original click.
Strategic acts are primarily represented by events; therefore, a company dissection centered on strategic acts includes i) the acts (=events) themselves, ii) the patents used in the acts (events), and iii) the counterparties to the acts, if any.
Using Apple as an example of a company of interest, provide in-depth analysis of competitors/company dissection contents utilizing PatentPia GoldenCompass. If you click on the chains(links) that are attached to each item in the above utilization map, the example page will open in a new window.
Investments/Spending Behavior
The investments/cost spending behavior of the target company being dissected is the most honest method to dissect the strategy/intentions/direction of that target company.
Investment/expenditure behaviors include i) patent purchases, ii) establishing overseas patent networks, iii) M&A/investments, etc.
Rising behaviors such as share, etc.
GoldenCompass can dissect rapidly growing companies' behavior for a target company or a specific field of a target company with an original click.
Given a target company, GoldenCompass provides rapidly growing analysis contents for each of the following tracks: i) various keyword tracks in the patent set, ii) fields related to the patent set (technology/product/material, patent classification (CPC/IPC, etc.)). On the other hand, given a specific field of the target company, we provide analysis contents for i) keyword tracks and i) rapidly growing subfields of the given field.
New Actions
GoldenCompass can dissect new acts for a target company or a specific field of a target company with an original click.
Dissect companies based on relationships
When dissecting target companies such as competitors, it is necessary to do a relationship-centered dissection that includes the other party in the relationship.
Using Apple as an example of an interested company, we provide in-depth analysis of competitors/company dissection contents utilizing PatentPia GoldenCompass. If you click on the chains (links) that are attached to each item in the utilization map above, the following example page will open in a new window.
Litigation relationships
In GoldenCompass, you can dissect the litigation relationships of the company being dissected with an original click.
Trial relationships
In GoldenCompass, you can dissect the referee relationships of the dissected company with just one click.
Transaction relationships
In GoldenCompass, you can dissect the transaction relationships of the company under dissection with just one click.
Collaborative relationships
In GoldenCompass, you can dissect the collaborative relationships of the companies under dissection with just one click. The collaborative relationships are located in the "Related Companies" large menu → "Co-applications."
Monitor competitors/Interested companies
Along with in-depth analysis of competitors, an important part of competitive intelligence is monitoring of target companies, including competitors. Monitoring is characterized by a short time horizon for analysis and is event-driven. GoldenCompass provides quarterly analysis contents from various analytics to help you fulfill your monitoring purpose with just one click.
For very short-term monitoring, such as today/this week/this month, it is best to utilize the interest registration & alert mailing service using My portfolio. For details, please refer to the "Important events alert mailing" page.
Related contents
•
.





